Maia Austen: A computational framework to characterize and compare the tonal repertoires of toothed whales

Throughout March, we are featuring articles shortlisted for the 2025 Robert May Prize. The Robert May Prize is awarded by the British Ecological Society each year for the best paper in Methods in Ecology and Evolution written by an early career author. Maia Austen’s article ‘A computational framework to characterize and compare the tonal repertoires of toothed whales‘ is one of those shortlisted for the award. About the paper  … Continue reading Maia Austen: A computational framework to characterize and compare the tonal repertoires of toothed whales

Reflections from IBAC 2025: bioacoustics, community, and scientific insights

Post provided by Diandra Duengen What is IBAC? In 2025, the biennial meeting of the International Bioacoustics Society (IBAC) took place in Kerteminde, Denmark, the country in which the society was originally founded. IBAC’s aim is “[…] to promote international participation throughout the entire field of bioacoustical activity.” Since IBAC was founded in 1969, 27 bioacoustic symposia and congresses in 13 different countries have been … Continue reading Reflections from IBAC 2025: bioacoustics, community, and scientific insights

Detecting and classifying animal calls from audio data using animal2vec

Post provided by Julian Schäfer-Zimmermann An introduction for people lacking a machine-learning background We provide a non-technical explanation of the animal2vec framework, including its capabilities and potential for usage in animal behavior, ecology, and conservation research. This summary is intended as a starting point for people lacking a technical background (e.g., field biologists) interested in understanding how the system works and what makes it unique … Continue reading Detecting and classifying animal calls from audio data using animal2vec

Teaching Models to Listen to Bats: The Story Behind BSG-BATS

Post provided by Katarina Meramo Bats are extraordinary animals. They fly, echolocate, and navigate in absolute darkness, and produce some of the most complex acoustic signals in the mammalian world. They pollinate, disperse seeds, control insect populations, and quietly hold ecosystems together. Yet, despite their importance, monitoring bats – particularly across large spatial and temporal scales – remains remarkably challenging. Over the past decade, bioacoustic … Continue reading Teaching Models to Listen to Bats: The Story Behind BSG-BATS

Charting the Unheard: A Primer for Analysing Toothed Whale Vocal Repertoires

Post provided by Maia Austen Introduction: Why toothed whale voices matter I’m a PhD candidate in the ONDAS Lab at the University of Vermont, advised by Dr. Laura May-Collado. My PhD looks to utilize machine learning analysis to better understand how and why dolphins communicate with each other. Toothed whales – like dolphins and belugas – are among the most acoustically sophisticated animals on Earth. … Continue reading Charting the Unheard: A Primer for Analysing Toothed Whale Vocal Repertoires

Monitoring Ecosystems through Sound: The Present and Future of Passive Acoustics

Post provided by Ella Browning and Rory Gibb

AudioMoth low-cost, open-source acoustic sensor ©openacousticdevices.info
AudioMoth low-cost, open-source acoustic sensor ©openacousticdevices.info

As human impacts on the world accelerate, so does the need for tools to monitor the effects we have on species and ecosystems. Alongside technologies like camera traps and satellite remote sensing, passive acoustic monitoring (PAM) has emerged as an increasingly valuable and flexible tool in ecology. The idea behind PAM is straightforward: autonomous acoustic sensors are placed in the field to collect audio recordings. The wildlife sounds within those recordings are then used to calculate important ecological metrics – such as species occupancy and relative abundance, behaviour and phenology, or community richness and diversity.

The Pros and Cons of Passive Acoustic Monitoring

Using sound to monitor ecosystems, rather than traditional survey methods or visual media, has many advantages. For example, it’s much easier to survey vocalising animals that are nocturnal, underwater or otherwise difficult to see. Also, because acoustic sensors capture the entire soundscape, it’s possible to calculate acoustic biodiversity metrics that aim to describe the entire vocalising animal community, as well as abiotic elements in the environment.

The use of PAM in ecology has been steadily growing for a couple of decades, mainly in bat and cetacean studies. But with sensor costs dropping and audio processing tools improving, there’s currently a massive growth in interest in applying acoustic methods to large-scale or long-term monitoring projects. As very low-cost sensors such as AudioMoth start to emerge, it’s becoming easier to deploy large numbers of sensors in the field and start collecting data. Continue reading “Monitoring Ecosystems through Sound: The Present and Future of Passive Acoustics”

New Associate Editors

Today we are welcoming two new Associate Editors to Methods in Ecology and Evolution: Huijie Qiao (Chinese Academy of Sciences, China) and Veronica Zamora-Gutierrez (Unidad Durango, Mexico and University of Southampton, UK). They have both joined on a three-year term and you can find out more about them below. Huijie Qiao “My research is focused broadly on macroecology. I work to clarify the theory and methodology behind ecological niche modelling … Continue reading New Associate Editors

Solo: Developing a Cheap and Flexible Bioacoustic Tool for Ecology and Conservation

Post provided by Robin Whytock

A Solo recorder in the field. ©Tom Bradfer-Lawrence
A Solo recorder in the field. ©Tom Bradfer-Lawrence

Ecologists have long been fascinated by animal sounds and in recent decades there’s been growing interest in the field of ‘bioacoustics’. This has partially been driven by the availability of high-definition digital audio recorders that can withstand harsh field conditions, as well as improvements in software technology that can automate sound analysis.

Sound recordings can be used to study many aspects of animal behaviour in a non-intrusive way, from studying the social dynamics of monkeys or even clownfish to detecting echolocating bats or singing birds. Some species can only reliably be separated in the field by the sounds that they make, such as common and soprano pipistrelle bats. Bat research in general has been revolutionised by commercially available acoustic loggers, with some amazing advances using artificial intelligence to automatically detect bat calls. Continue reading “Solo: Developing a Cheap and Flexible Bioacoustic Tool for Ecology and Conservation”

Midwater Ocean Communities: Sounds Like Siphonophore Soup

Post provided by Roland Proud

How do we know how many fish there are in the ocean? 1000, 1 billion, 1000 billion? We can’t catch them all and count – that’s not practical. Nor can we make observations from Earth-orbiting satellites – light does not penetrate far into the ocean. What we can use is sound.

Sound travels well in water (faster and further than it does in air), so we can use scientific SONAR (echosounders) to produce sound waves and record backscatter from organisms and communities. This provides information concerning their biomass, distribution and behaviour. A recent study used echoes from the mesopelagic zone (200 – 1,000m) to predict global mesopelagic fish biomass to be between 11 and 15 billion tonnes (that’s a lot), suggesting that mesopelagic fish communities could potentially provide global food security.

Mesopelagic Biogeography

In a recent paper, we (the Pelagic Ecology Research Group, PERG at the University of St Andrews) divided the global ocean up into regions based on the properties of echoes from the mesopelagic zone (see below).

10 mesopelagic classes are shown for the open-ocean, echo intensity (a proxy for biomass) increases from blue to red. Coastal zones excluded. Longhurst provinces overlaid. Shapefile here. Proud et al. (2017)
10 mesopelagic classes are shown for the open-ocean, echo intensity (a proxy for biomass) increases from blue to red. Coastal zones excluded. Longhurst provinces overlaid. Shapefile here. Proud et al. (2017)

Continue reading “Midwater Ocean Communities: Sounds Like Siphonophore Soup”

Listen Up! Using Passive Acoustic Monitoring to Help Forest Elephant Conservation

Post provided by Peter H. Wrege

Forest elephant in Gabon
Forest elephant in Gabon

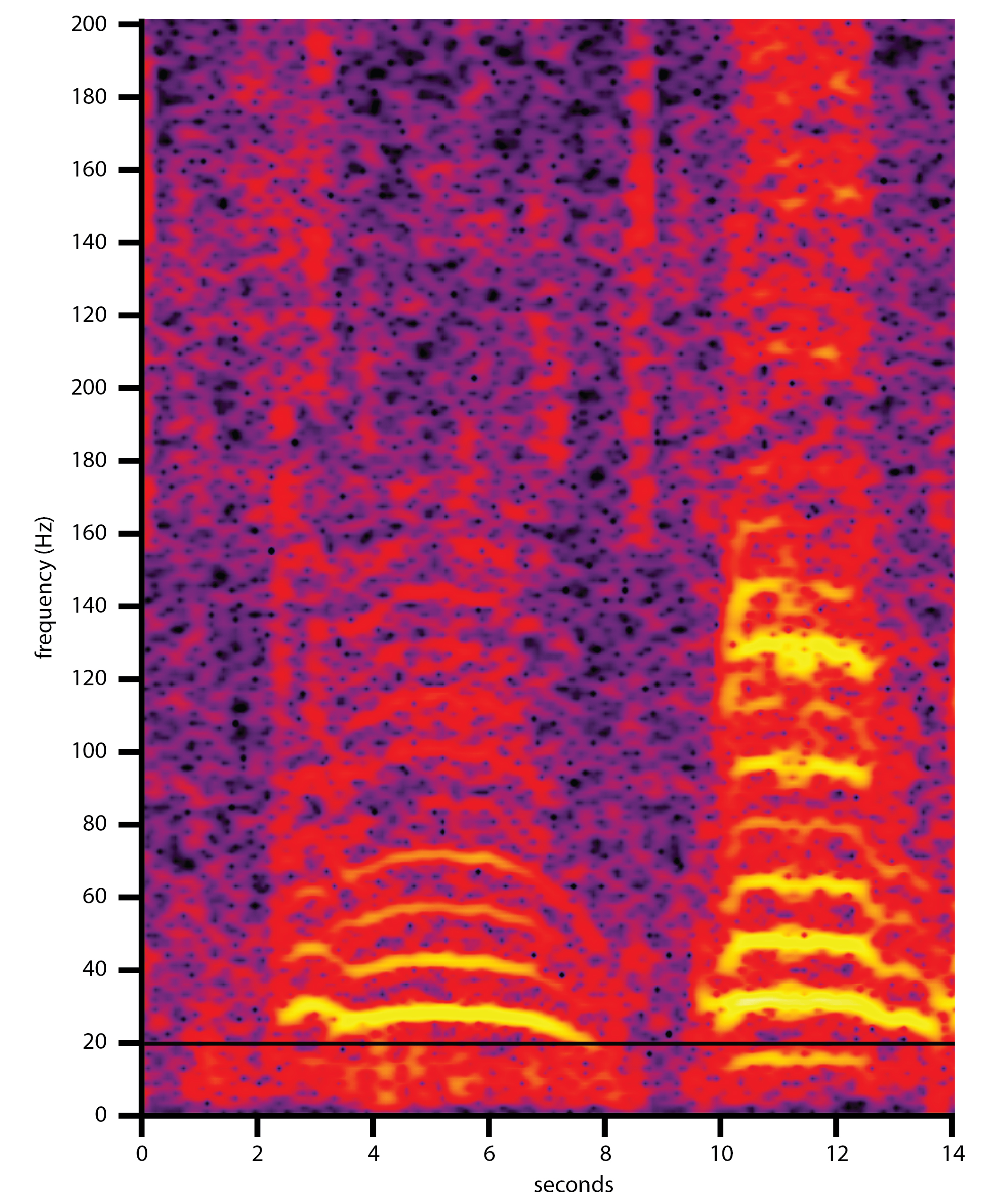
Heard but not seen, populations of forest elephants (Loxodonta cyclotis) are rapidly declining due to ivory poaching. As one of the largest land mammals in the world, this species is surprisingly difficult to observe in the dense forests of Central Africa, but their low frequency rumbles can be recorded. With the autonomous recording afforded by passive acoustic monitoring (PAM) though, we have a window onto forest elephant ecology and behaviour that’s providing data critical to their conservation and survival.

The diverse ways that PAM can contribute to conservation outcomes is growing and while still underappreciated, the availability of relatively inexpensive recorders, increased power efficiency, and powerful techniques to automate the detection of signals have led to an explosion in use. In 2007 there were only about 20 published papers using PAM techniques, but since then over 400 papers have appeared in peer-reviewed journals.

Spectrogram of two forest elephant rumbles. Horizontal line shows the limit of human hearing.
Spectrogram of two forest elephant rumbles. Horizontal line shows the limit of human hearing.

Essentially, PAM is the automatic recording of sounds in a given environment, often for long periods. The trick, and often greatest challenge, is to find the signals of interest (bird calls, elephant rumbles, gunshots) within the recordings. With these signals we can quantify abundance, occupancy and spatial or temporal patterns of activity. Particularly in landscapes or ecosystems where visual observation is difficult (e.g. oceans, rainforests, nocturnal environments) PAM may be uniquely capable of delivering informative and unbiased data. Because PAM is a relatively new method but of considerable interest across the disciplines of ecology, behaviour and conservation, there is huge interest in refining the sampling and statistical methods needed to deal with the peculiarities of acoustic data. Continue reading “Listen Up! Using Passive Acoustic Monitoring to Help Forest Elephant Conservation”